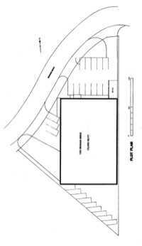
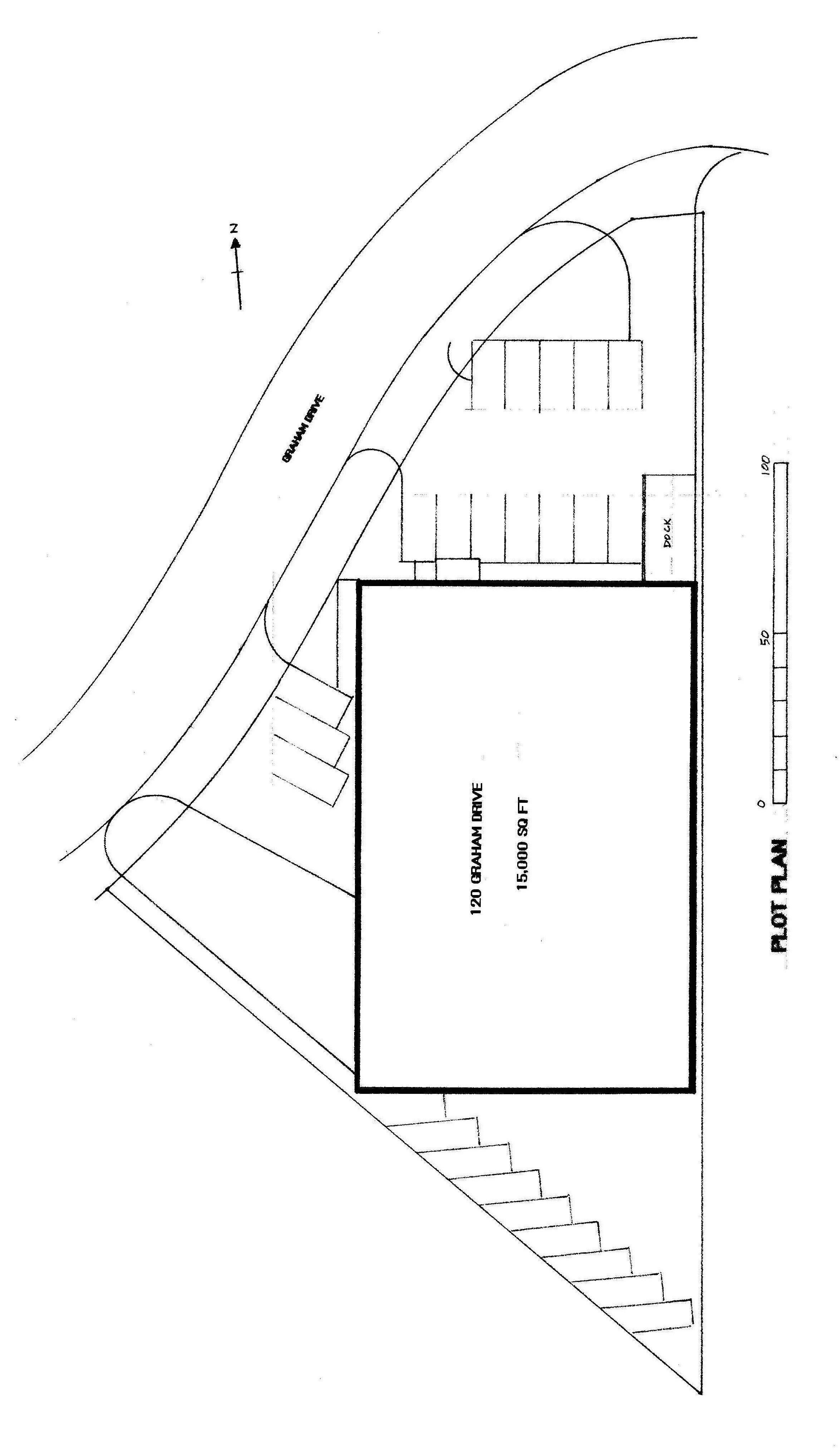
120 Graham Dr.
Franklin, Ohio 45005
Franklin, Ohio 45005
Building Features
Value
Zoning:
C-2
Total Area:
15,000 sq. ft.
Office / Warehouse area:
1,400 sq. ft. / 13,600 sq. ft.
Parking Spaces:
23+
Type of Construction:
Pre-Engineered
Loading Docks:
(1) 8x9 Dock
Overhead Doors:
(1) 14x14 Drive
Type of Heat:
Gas
Electrical Service:
400 Amp 277 / 480V
Three Phrase:
Yes
Sprinkler System:
No
Exhaust Fans:
No
Office A/C:
Yes
Distance to Interstate:
.5 mile (I-75)



