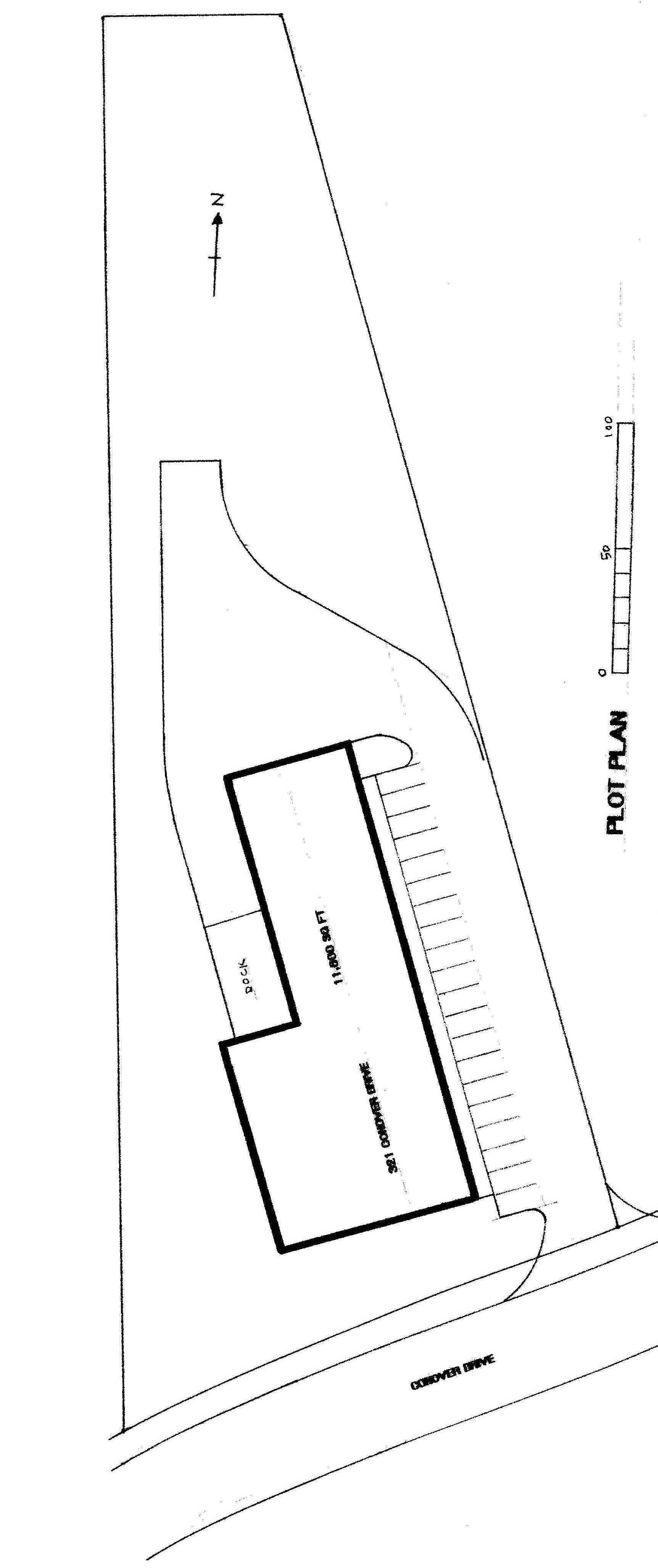
321 Conover Dr.
Franklin, Ohio 45005
Franklin, Ohio 45005
Building Features
Value
Zoning:
C-1
Total Area:
11,800 sq. ft.
Office / Warehouse area:
600 sq. ft. / 11,200 sq. ft.
Parking Spaces:
36
Type of Construction:
Pre-Engineered
Loading Docks:
(2) 8x9 Dock
Overhead Doors:
(1) 12x14 Drive / (1) 10x10 Driv
Type of Heat:
Gas
Electrical Service:
400 Amp 120/208V
Three Phrase:
Yes
Sprinkler System:
No
Exhaust Fans:
No
Office A/C:
Yes
Distance to Interstate:
.5 mile (I-75)



